10 Fakten über Tiefseefischerei
Der stille Raub an unseren Ozeanen
Die Tiefseefischerei zerstört mit riesigen Schleppnetzen Fischbestände, Korallenriffe und ganze Ökosysteme. Sie bedroht die Artenvielfalt, hinterlässt bleibende Schäden und bleibt oft unsichtbar – 10 Fakten dazu.
- Hintergrund
Tiefseefischerei – ein Begriff, der für viele noch ein Rätsel ist. Ein unsichtbares Problem, das in den dunklen Tiefen des Meeres spielt, weit entfernt von der Wahrnehmung des alltäglichen Fischkonsums. Doch die Realität ist erschütternd: Mit gewaltigen Schleppnetzen reißen gigantische Fischtrawler den Meeresboden auf und zerstören dabei Fischpopulationen ebenso wie ganze Ökosysteme, beispielsweise fragile Tiefseekorallenriffe.
Tiefseefischerei ist ein globales Problem, das weit über die Grenzen einzelner Länder hinausgeht. Die Bedrohung ist real, aber wir können sie noch abwenden, wenn wir uns für strengere Vorschriften und den Schutz der Tiefsee einsetzen. Diese Praxis betrifft längst nicht nur die Tiere – sie bedroht das empfindliche Gleichgewicht der Tiefsee, das sich über Jahrmillionen entwickelt hat. In den Tiefen der Meere bleibt dieses unsichtbare Drama unbemerkt, doch die Folgen sind irreversibel. Denn bei der Tiefseefischerei werden Fische aus Tiefen gefangen, die bis zu 2.500 Meter unter der Oberfläche liegen. Aufgrund der besonderen Lebensumstände in der Tiefsee wachsen und vermehren sich Tiefseetiere nur sehr langsam, was ihre Populationen besonders verletzlich macht. Und dennoch betreiben Fischereikonzerne diesen Fischfang weiter, ohne Rücksicht auf die weitreichenden ökologischen Schäden, die er anrichtet.
Jede Entscheidung, die wir heute treffen, kann helfen, die Lebensräume für die kommenden Generationen zu bewahren. Doch die Zerstörung dieser Gebiete durch die Tiefseefischerei ist nur ein Teil der Bedrohung. Auch der drohende Tiefseebergbau könnte dem marinen Leben in der Tiefe massiven Schaden zufügen. Mit Maschinen, die den Meeresboden umgrabenen, werden nicht nur einzigartige Lebensräume zerstört. Wir kämpfen dafür, dass dieser unaufhörliche Raubbau an den Ozeanen endlich gestoppt wird. Doch dafür brauchen wir Ihre Unterstützung. Nur gemeinsam können wir dafür sorgen, dass die Tiefsee nicht weiter ausgebeutet wird und dass der Schutz der Ozeane endlich oberste Priorität erhält. Werden Sie aktiv und setzen Sie sich mit uns für eine nachhaltige und gerechte Zukunft der Meere ein.
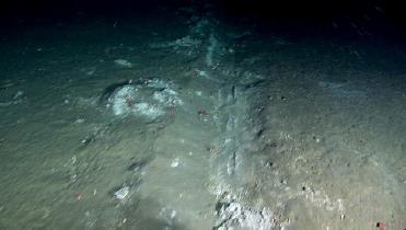
1. Tiefseefischerei bedroht empfindliche Lebensräume
In den Tiefen des Ozeans existieren einzigartige Lebensräume, die sich über Millionen von Jahren in völliger Isolation entwickelt haben. Die Tiere, die dort leben haben sich an extreme Bedingungen angepasst, wie hohe Druckverhältnisse, niedrige Temperaturen und Dunkelheit. Ihre Lebensräume sind außerordentlich empfindlich und können leicht durch menschliche Eingriffe destabilisiert werden. Wenn Fanggeräte wie Schleppnetze den empfindlichen Meeresgrund durchpflügen, destabilisiert das das gesamte Ökosystem. Eine Studie fand heraus, dass die Fischerei mit Grundschleppnetzen dem Klima ebenso stark schadet wie der Luftverkehr: Sie zerstört nicht nur den Meeresboden, sondern setzt auch enorme Mengen CO₂ frei. Die Zerstörung von jahrtausendealten Korallenriffen und anderen Lebensräumen beeinträchtigt nicht nur die Tiere, die direkt betroffen sind, sondern setzt eine Kettenreaktion in Gang, die das gesamte Nahrungsnetz beeinflusst. Diese Schäden sind in vielen Fällen irreversibel, ganze Lebensräume können so für immer verloren gehen.
2. Tiefseefischerei vernichtet Jahrhunderte alte Ökosysteme
Einige in der Tiefsee lebenden Fischarten sind nicht nur werden nicht nur außergewöhnlich alt, sondern wachsen und reproduzieren sich extrem langsam, was sie besonders anfällig für Überfischung macht. In Regionen wie dem Nordatlantik sind Fischbestände durch jahrzehntelange industrielle Fischerei gefährdet. Laut der Ernährungs- und Landwirtschaftsorganisation der Vereinten Nationen (FAO) sind weltweit fast 38% der marinen Fischereipopulationen überfischt, rund 50% gelten als „maximal nachhaltig befischt”. Wenn diese Arten nicht in ausreichendem Maße fortpflanzen können, schrumpfen ihre Populationen dramatisch. Davon können sie sich nur sehr langsam erholen, , falls überhaupt. Der Verlust würde mehr als den Verlust einer Art bedeuten: das gewaltsame Schließen eines wichtigen Kapitels in der Geschichte der marinen Biodiversität. Mit der Zerstörung dieser einzigartigen Lebensräume verlieren wir Naturwunder, die viele Jahrtausende gebraucht haben, um sich zu entwickeln.
© Solvin Zankl / Greenpeace
Dieser Kugelkopf-Grenadiers (Cetonurus globiceps) lebt in der Bathypelagialzone in 860 bis 4621 Metern Tiefe, meist zwischen 1000 und 2000 Metern, im Atlantik und Pazifik.
3. Fische, die 100 Jahre alt sind, landen auf dem Teller
Manche Tiefseefische wie der Granatbarsch erreichen ein Alter von über 100 Jahren. Diese Fische haben Jahrhunderte alte, stabile Populationen gebildet und leben in einer Welt weit entfernt von den Sorgen des menschlichen Lebens. Doch ihre Lebensweise steht unter direkter Bedrohung durch den menschlichen Fang. Der Abbau dieser Populationen ist nicht nur ein Verstoß gegen das Prinzip der Nachhaltigkeit, sondern auch gegen das natürliche Gleichgewicht der Meere.
© Solvin Zankl / Greenpeace
Image of a deep sea solitary coral (Madreporaria sp).
4. Tiefseefischerei zerstört jahrhundertealte Korallenriffe
Die Tiefsee beherbergt Korallenriffe, die weitaus älter sind als alle bekannten Korallen in flachen Gewässern. Diese sogenannten „Schwamm- und Korallenriffe“ sind wahre Hotspots der Biodiversität und bieten eine riesige Anzahl von Arten Schutz und Nahrung. Viele dieser Riffe sind durch Jahrtausende der Entwicklung so komplex, dass sie als Teil der stabilsten Ökosysteme auf unserem Planeten gelten. Doch die Fangmethoden der modernen Tiefseefischerei, wie das Schleppnetz, reißen diese Jahrtausende alten Strukturen nieder. Diese Korallenriffe, die in den Tiefen der Ozeane ruhen, können durch den zerstörerischen Eingriff der Menschheit nicht wiederhergestellt werden, was zu einem Verlust von Lebensräumen für unzählige Arten führt und das marinen Ökosystem als Ganzes destabilisiert.
5. Fangmethoden wie das Schleppnetz vernichten den Meeresgrund
Die Grundschleppnetzfischerei ist eine der brutalsten Fangmethoden der Tiefseefischerei. Dabei wird das Fangnetz über den Meeresboden gezogen, wobei es alles auf seinem Weg zerstört – von empfindlichen Korallenriffen bis hin zu jahrhundertealten Lebensräumen. Die Auswirkungen auf den Meeresboden sind verheerend, denn die Netze wühlen den Boden wird auf und zerstören wichtige ökologische Strukturen und damit Nahrungsquellen für viele Meeresbewohner. Der Verlust von Meeresflora und -fauna beeinträchtigt das gesamte Ökosystem, da viele Tiere auf diese Lebensräume angewiesen sind, um zu überleben. Damit beschädigt das Schleppnetz auch die Lebensgrundlagen von Millionen von Menschen. Ein zusätzliches Problem: durch die Grundschleppnetzfischerei gelangen große Mengen von Kohlenstoff, die zuvor im Boden gespeichert waren, zurück ins Wasser und auch in die Atmosphäre. Die Folgen: Das Meerwasser wird saurer und die Erde erhitzt sich weiter.
© Paul Hilton / Greenpeace
Schildkröte als Beifang im Netz
6. Auch Wale und Schildkröten landen in den Netzen
Neben Fischen landen zahlreiche andere Meeresbewohner wie Haie, Meeresschildkröten, Wale und andere Meeressäuger in den Netzen der Tiefseefischerei. Diese Tiere, die oft als „Nicht-Zielarten“ betrachtet werden, erleiden grausame Todesfälle, sei es durch Ertrinken oder durch die Zerstörung ihres Lebensraums. Doch nicht nur das: Durch die Störung dieser empfindlichen Ökosysteme verlieren auch viele andere Tierarten ihre Nahrungsquelle und ihren Lebensraum. Die Auswirkungen sind weitreichend und bedrohen das gesamte biologische Netzwerk der Tiefsee
7. Es gibt keine „Ressourcen ohne Ende“ in der Tiefsee
Die Tiefsee ist ein empfindliches System, das durch den ungebremsten menschlichen Eingriff schnell erschöpft werden kann. Die Verfügbarkeit von Tiefseefischen sinkt rapide, je mehr wir diese wertvollen Lebensräume ausbeuten. Die Fischereiindustrie hat bereits weite Teile der Tiefsee überfischt, und die ständig wachsende Nachfrage nach exotischen Fischen und Meeresfrüchten trägt nur weiter zur Überlastung dieser Ökosysteme bei. Das sogenannte „Abfangen auf Reserve“ führt dazu, dass wir inzwischen das gesamte ökologische Gleichgewicht gefährden.
8. Der menschliche Einfluss ist längst spürbar
Schadstoffe wie Plastik, Chemikalien und Rückstände aus der Fischerei haben den Weg in die Tiefsee gefunden und verursachen dort massive Schäden. Besonders Mikroplastik und Schwermetalle sammeln sich in den Tiefen und werden durch die Nahrungskette an größere Tiere weitergegeben. Diese Belastungen breiten sich zunehmend aus, verändern die natürliche Lebenswelt und verschmutzen einen bislang kaum erforschten Teil des Ozeans. Die Tiefsee ist ebenso von den Auswirkungen unseres Handelns betroffen wie alle anderen Teile der Erde.
9. Internationale Vereinbarungen sind unzureichend
Es gibt viele Regelungen zur Fischerei, die darauf abzielen, die marinen Ökosysteme zu schützen, doch sie sind oft nicht streng genug. Trotz der Erkenntnis, dass Schutzgebiete eine der besten Methoden sind, um die Biodiversität der Tiefsee zu erhalten, gibt es zu wenige und zu kleine marine Schutzgebiete, in denen Tiefseefischerei vollständig verboten ist. Zahlreiche internationale Abkommen und nationale Vorschriften bestehen, aber sie sind häufig lückenhaft, schlecht durchgesetzt oder basieren auf veralteten wissenschaftlichen Erkenntnissen. Zumindest in der EU ist die Grundschleppnetzfischerei unterhalb von 800 Metern seit 2016 verboten. Viele schutzbedürftige Tiefsee-Ökosysteme liegen weniger tief, seit 2022 sind aber auch gefährdete Lebensräume mit hoher Biodiversität zwischen 400 - 800 Metern Tiefe geschützt. Damit setzte die EU mit einigen Jahren Verspätung endlich die Tiefseeverordnung um. Besonders die Tiefseefischerei, die weit entfernt von den Augen der Öffentlichkeit stattfindet, bleibt jedoch oft unreguliert oder wird nur unzureichend überwacht. Der mangelnde politische Wille, die Fischereiindustrie strikter zu regulieren, und die Schwierigkeit, internationale Zusammenarbeit aufrechtzuerhalten, führen dazu, dass die Tiefsee weiterhin als unerschöpflicher Rohstofflieferant betrachtet wird.
Die Bemühungen Fangmethoden wie Schleppnetze zu regulieren und Fangquoten festzulegen, scheitern oft an ihrer Schwäche oder unzureichenden Umsetzung. Ohne klare politische Entscheidungen und globalen Druck auf die Fischereiindustrie bleibt die Zerstörung der Tiefsee nahezu unaufhaltsam.
© Blue Planet Archive / David Wrobel
Dumbo Oktopus
10. Viele Fischarten in der Tiefsee sind besonders (schützenswert)
Die Tiefsee beheimatet einige der ältesten und faszinierendsten Arten unseres Planeten: Der Anglerfisch beispielsweise ist ein echter Überlebenskünstler. Mit seinem leuchtenden Köder, einer Art natürlichen Lampe, lockt er Beute an – ein beeindruckendes Beispiel dafür, wie sich Lebewesen an die Dunkelheit der Tiefsee anpassen. Der Dumbo-Oktopus ist eine der entzückendsten Arten der Tiefsee und ein Beweis dafür, dass die Natur auch in den dunkelsten Tiefen noch Charme versprüht. Mit seinen flügelartigen Flossen, die ihm seinen Namen eingebracht haben – benannt nach dem berühmten fliegenden Elefanten Dumbo –, gleitet der Oktopus durch die Tiefen der Meere. Andere Tiere leuchten in schillernden Farben, wie die Laternenfische, oder wirken beinahe außerirdisch, wie der transparente Tiefseekalmar. Manche von ihnen haben jahrtausendelang unverändert überlebt und bewahren uralte Geheimnisse des Lebens. Diese Geschöpfe sind nicht nur faszinierend – sie spielen eine entscheidende Rolle im Gleichgewicht der Ozeane.Doch ihre Anfälligkeit für Überfischung, gepaart mit der Tatsache, dass ihre Populationen sich so langsam regenerieren, macht sie besonders anfällig für den Kollaps.