Jetzt spenden
Karsten Smid, Greenpeace-Experte für Klimawandel
Daniel Müller / Greenpeace

Hurrikan Irma und Flutkatastrophen: Interview mit Greenpeace-Experte Karsten Smid

Archiviert | Inhalt wird nicht mehr aktualisiert

© Greenpeace

Der Hurrikan Harvey wütete tagelang über Texas, 60 Menschen starben, über 50.000 verloren ihr Zuhause. Derzeit tobt über dem Atlantik ein neuer mörderischer Wirbelsturm, verwüstet gerade Inseln in der Karibik und nimmt Kurs auf Florida: Hurrikan Irma. Gleichzeitig, wenn auch in den Medien weniger beachtet, versinken Bangladesch und Pakistan in heftigstem Monsunregen und daraus folgenden Überflutungen. Mit riesigen Opferzahlen: Die Zeitungen melden 1500 Tote und Millionen von Vertriebenen, genaue Zahlen gibt es derzeit noch nicht. Was hat das mit dem Klimawandel zu tun? Und was kommt noch auf uns zu? Ein Interview mit Karsten Smid, Greenpeace-Experte für Klimawandel.

Greenpeace: Hurrikans hat es auch schon gegeben, bevor der Klimawandel die Erde aufheizte. Kann man trotzdem sagen, dass der Klimawandel an der Heftigkeit der letzten beiden Hurrikans Harvey und Irma Schuld ist?

Karsten Smid: Ja. Hurrikans im August und September im Golf von Mexiko und an der US-Ostküste sind ein ganz normales Wetterphänomen. Die Stürme werden nicht durch den Klimawandel verursacht. Aber ihre Heftigkeit, die liegt auch an der Klimaveränderungen.  Hurrikan Irma hat eine unglaubliche Kraft, Harvey hatte immense Regenmengen im Gepäck – die Überschwemmungen waren das eigentliche Unglück der Region. Beides muss in Zusammenhang mit der Erderwärmung gesehen werden. 

Wie ist der Zusammenhang genau?

Der Golf von Mexiko ist derzeit ungewöhnlich warm – ein bis zwei Grad wärmer als allgemein üblich. Vereinfacht kann man sagen, dass Harvey und Irma deswegen einerseits besonders viel Energie und Kraft und andererseits aber auch besonders viel Wasser aufgesaugt haben.

Hurrikan Harvey hat sintflutartige Regenfälle mit sich gebracht. Über Houston, der viertgrößten Metropole der USA – dort leben über sechs Millionen Menschen – fielen innerhalb weniger Tage 1300 Liter pro Quadratmeter. Das ist fast doppelt so viel Niederschlag, wie in Deutschland im ganzen Jahr fällt. Wissenschaftler vom amerikanischen Klima-Institut schätzen den Beitrag der Klimaerhitzung an dieser Regenmenge auf bis zu 30 Prozent.

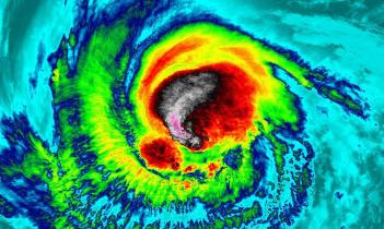
Und gerade wütet schon der nächste Hurrikan in der Karibik: Irma. Er wurde mit der höchsten Stufe 5 kategorisiert. Irma ist einer der stärksten jemals registrierten Tropenstürme in der Region. Und er nimmt Kurs auf Küste von Florida. Wir und unsere amerikanischen Greenpeace-Kollegen beobachten gebannt den Verlauf des Monstersturms und bangen mit den betroffenen Menschen vor Ort.

Eine vielleicht sogar noch schlimmere Katastrophe ereignet sich ja gerade in Pakistan und Bangladesch – kann man sagen, dass auch die zerstörerischen Fluten dort etwas mit dem Klimawandel zu tun haben?

Ja. Die Monsunregen sind in dieser Region dieses Jahr außergewöhnlich heftig gewesen. Auch hier gilt: Die Klimaerhitzung hat den Monsunregen verstärkt. Eine wärmere Atmosphäre heizt den Kreislauf zwischen Verdunstung und Abregnen an; das ist ein physikalisches Gesetz. 

In Indien, Nepal und Bangladesch haben die Regenmassen des Monsuns mehr als 1500 Menschen getötet und Millionen Menschen obdachlos gemacht. Südasien versinkt in den Fluten, mehr als 270.000 Quadratkilometer sind betroffen. Das ist eine Region, die ist fast so groß wie ganz Deutschland.  

Was kommt noch auf uns zu?

Was wir jetzt sehen, ist erst der Anfang. Das Klima wandelt sich, und die Zahl der extremen Wetterlagen wird weiter zunehmen. Greenpeace hat kürzlich erst eine Studie dazu veröffentlicht: Schon heute werden jährlich 21 Millionen Menschen durch klimabedingte Wetterkatastrophen zu Flüchtlingen. Auch diese Zahl wird steigen.

Vielleicht, weil wir es nicht in der Hand haben: Leider neigen wir Menschen dazu, die Gefahr von Naturgewalten zu verdrängen. Stürme und insbesondere Hurrikans haben schon immer gewütet und viel zu oft gigantische Zerstörungen verursacht. Mit der Klimaerhitzung nimmt aber die Energie in der Atmosphäre zu und damit auch die potenzielle Zerstörungskraft. In Zukunft werden aus bereits gefährlichen Naturereignissen von uns selbst mitverschuldete Monster. Deswegen müssen die Industrienationen wirklich alles in ihrer Macht stehende tun, um die Treibhausgase zu begrenzen und die Erderwärmung auf unter 1,5 Grad zu halten. Denn es geht um Menschenleben.

  • Satellitenbild von Hurrikan Irma

    Monstersturm Irma

    Überspringe die Bildergalerie
  • Flutopfer von Hurrikan Harvey werden in Texas evakuiert

    Als der Regen kam

    Überspringe die Bildergalerie
  • Vom Wirbelsturm Harvey Vertriebene in Texas

    Vom Sturm vertrieben

    Überspringe die Bildergalerie
Ende der Gallerie

Online-Mitmachaktion

https://act.greenpeace.de/eu-verbot-fossile-energien

Neue fossile Energieprojekte in Europa verbieten

Wir alle müssen jetzt den klimatischen und ökologischen Notstand als die existenzielle Krise behandeln, die er ist. Unser Leben hängt davon ab. Deshalb fordern wir die EU-Institutionen dazu auf: Stoppt neue Öl- und Gasprojekte!

Jetzt unterzeichnen
0%
vom Ziel erreicht
0
haben mitgemacht
0%
Protesters holding yellow banner that says "defend the climate - not fussil fuels"

Mehr zum Thema

Protest at CCS Trade Fair in Hamburg

Kohlendioxid-Endlager bald auch in Bayern?

Der Bundestag hat die Speicherung von Kohlendioxid, genannt CCS, erlaubt. In Bayern sucht Wirtschaftsminister Aiwanger bereits nach Endlagern für CO2.

mehr erfahren über Kohlendioxid-Endlager bald auch in Bayern?
Protest at CCS trade fair in Hamburg

CCS: Mythen und Fakten

Nun leider doch: Die Bundesregierung beschließt, CO2 im Meer zu versenken. Doch CCS ist keine Lösung – aktuelle Studien beleuchten die Risiken der CO2-Verpressung und bewerten den Gesetzentwurf.

mehr erfahren über CCS: Mythen und Fakten
Greenpeace-Aktivisten protestieren mit projizierten Sprüchen am neuen Kohlekraftwerk von Vattenfall in Moorburg, Hamburg.

Kraftwerk Moorburg: Klimazerstörung made in Hamburg

Zu groß, zu schmutzig, zu spät: Mit Moorburg geht ein Kohlekraftwerk ans Netz, das heute niemand mehr braucht. Dahinter steckt eine bewusste Täuschung.

mehr erfahren über Kraftwerk Moorburg: Klimazerstörung made in Hamburg
Braunkohlekraftwerk Lippendorf: Kühltürme und Schornsteine mit Rauch, davor Bagger im Braunkohletagebau

Bilanz-Bluffs bei der Leag

Die Lausitzer Kohlegruben der Leag zu renaturieren, wird Milliarden kosten. Das Unternehmen des Multimilliardärs Daniel Křetínský legt viel zu wenig Geld zurück. Wälzt er die Kosten auf den Osten ab?

mehr erfahren über Bilanz-Bluffs bei der Leag
Martin Kaiser auf der Demo in Lützerath

Lützerath, wie weiter?

Das Dorf Lützerath ist nun dem Erdboden gleichgemacht. Wie geht es jetzt weiter mit dem Klimaschutz, der Klimapolitik und der Klimabewegung? Fragen an Greenpeace-Chef Martin Kaiser.

mehr erfahren über Lützerath, wie weiter?
35.000 Menschen demonstrieren gegen die Räumung von Lützerath

Lützerath-Räumung

Trotz des Protests zehntausender Menschen, trotz tagelanger mutiger Aktionen ist Lützerath nun geräumt. Der Abriss schreitet schnell voran. Doch fürs 1,5 Gradziel darf die Kohle nicht verheizt werden.

mehr erfahren über Lützerath-Räumung